Breadcrumb

Polloe hilerrian bisitatzeko puntuak

Polloe hilerriko bisitatzeko puntuak

Eduki publikatzailea

Mapa PDF-an deskargatu

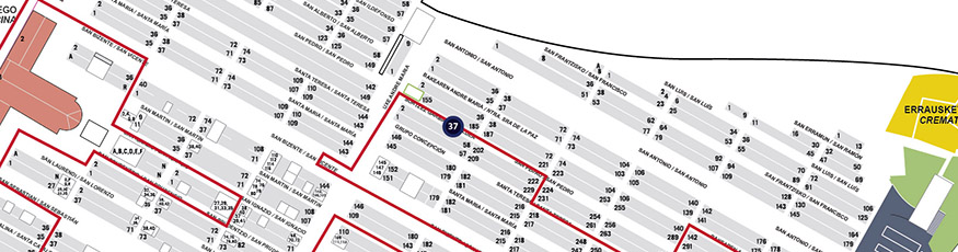
37. Euskal disko-formako estela ─ uruñuela panteoia

Kontzepzio Taldea 27

José Tomás Uruñuela *1891 Gasteiz +1963 Donostia. Zientzia Kimikoetan lizentziatua izan arren, gaztetatik erakutsi zuen musikarako gaitasuna zuela. Aita izan zuen irakasle, Dimas Uruñuela, hura ere musikaria. 20ko hamarkadan, Eusko Ikaskuntzen I. Kongresuak bultzatutako kultur giro erregionalistaren eraginez, euskal musika eta folklorea jasotzeko interesa piztu zen. Bereziki aipatzekoa izan zen Aita Donostiak egindako lana, eta ondoren, Uruñuelak egindakoa ere bai; Lekarozeko kaputxinoen komentuan egiten ziren musika-saio eta -bileren bitartez. Izan ere, Lekaroz hartzen da Euskal Musika Abertzaletasunaren sorterritzat. Gerra Zibilean zehar Parisen erbesteratu zen, eta han, dantza klasikora hurbildu zen asko. Gerora, itzuli zenean, Donostian sortu zuen ballet akademian jarri zuen esperientzia hura praktikan. Aipatzekoak dira, haren lanen artean, "Aita Gurea", "Maitia nun zira", "Aurresku Vizcaino", "El Clavelín de Bendaña" eta "Dance National Basque", txisturako egin zituen konposizioak ahaztu gabe, noski.

Euskal tradizioa berreskuratzeko espirituaren barruan, disko formako estela erabiltzen da, musikologo gasteiztarra oroitzeko. 1958an, San Martzial 200ean duen hileta-monumentua egin zenean, lehen aldiz erabili zen Polloeko hilerri honetarako antzinako disko formako estelen tipologia. Euskal artearen eta kulturaren bereizgarri gisa hartu da. Asmo horretxekin altxatu ziren 76ak. Lis-lorearen tankerako gurutzea eta Maltakoa, lauburua, eta eguzkiarekin lotutako irudiak dira maizen agertzen direnak.

Hemen hizpide dugunak, dimentsioari eta materialari dagokienez, antzinako ereduen antza du. Ikurrak erabiltzen ditu ─Erdi Aroko esteletan ikusten dugu hori─, eta hala, hildakoak bizitzan zehar garatu zituen gaitasunak adierazten dizkigu: lira bat, koblakariaren atributua, eta luma, musikagile seinale. Grafiaren karaktereetarako, "euskal estilo" deritzon trazua baliatu da. G.B. hizkiek Goian Bego adierazten dute. 

Hilerri honetan diren beste estelen artean, gai tradizionala duen, liseko lorea eta, bestaldean, motibo begetala, Xabierko San Frantzisko kalean den berrerabilitako estela dugu eta San Martzial 273n den estela, 1974ean Eduardo Chillidak sortutako logotipo "antinuklearra" diskoan duena.

José jauna, hilik, hilkutxan sartzerakoan, hark bere gelan eduki ohi zuen garezur bat sartu zuen haren ikasle batek. Adierazi zuen, norbaitek noizbait gorpua hilobitik aterako balu, barruan bi garezur aurkituko zituela (Aguraingo anaia Píok esana).    

Beste bisitatzeko tokiak

BESTE BISITATZEKO TOKIAK

Eduki publikatzailea